当前位置 : 首页> 春武里府->春武里府 | 林查班,Rojana工业园里私人工厂出租 9,467/12,142平米 每平米190~205泰铢/月

【春武里-是拉差 】春武里府 | 林查班,Rojana工业园里私人工厂出租 9,467/12,142平米 每平米190~205泰铢/月

最近更新: 2025年08月19日 更新   |    房源编号:FY0024251    |     浏览人次:650
成交
< >
店鋪
称呼:泰国好房网
公司注册号: 0105563066648
所属公司: 泰国好房网
公司地址: 30th Floor,160/753 ITF Silom Palace,Silom Rd,Bangrak,Bangkok,Thailand.
经纪人房源
0658833344
留言查詢

楼盘概况

  • 月租:40 元
  • 约泰铢: 190  THB
  • 房型面积: 9467  平方
  • 可使用日期:  
  • BTS轻轨 : 不适用
  • MRT地铁 : 不适用
  • 房间 : 单间
  • 客厅 : 1厅
  • 卫浴 : 1卫浴
  • 楼层 : 不适用
  • 装修状况 : 毛坯
  • 朝向 :
  • 押金 : 面议
  • ALR机场专线 : 不适用

小区信息

详细描述

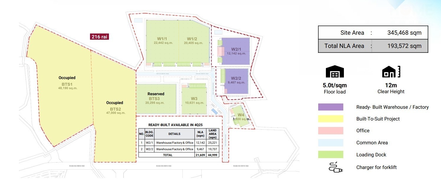
春武里府 | 林查班,Rojana工业园里私人工厂出租 UO-2025-08-47

出租面积:193,572 平方米

  • 1/2:面积 12,142 平方米

  • 2/2:面积 9,467 平方米

租金:190 – 205 泰铢/平方米

租赁条件:

  • 最短租期:3 年

  • 押金:4 个月租金

  • 预付租金:1 个月

  • 租金已包含土地税及房产税

  • 租金已包含预提所得税

  • 租金已包含建筑保险

  • 预计 2026 年 2 月可投入使用


你可能有兴趣的楼盘

周边配套

房价走势

暂无数据
免责声明: 本页面仅供参考和借鉴,一切以售楼处公布为准
联 系 人:
联系电话:
沪ICP备18013953号

邮箱:ithaihome@gmail.com

小程序 欢迎使用小程序